Hosted on Acast. See acast.com/privacy for more information.
Hosted on Acast. See acast.com/privacy for more information.

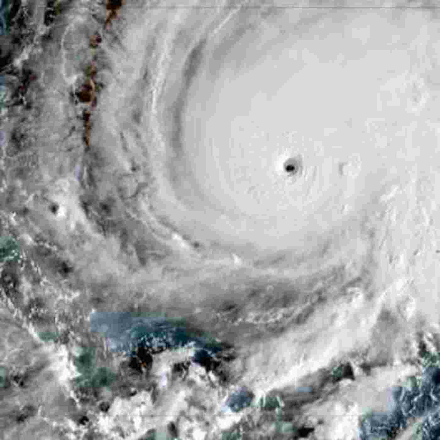
Hurricane Melissa is now Category 5, meaning it is the strongest storm to hit Jamaica since 1988.
As of 5 a.m. EDT on Monday, maximum sustained winds of 160 mph were recorded.
How destructive is Storm Melissa going to be? How much rainfall is expected to hit Jamaica, and has climate change played a role in its intensity?
We speak to Deputy Chief Meteorologist Dan Rudman, from the Met Office.
Also in this episode:
Hosted on Acast. See acast.com/privacy for more information.